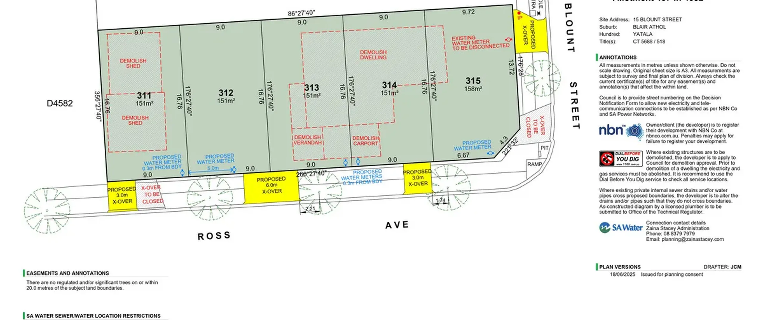
Subdivision-Approved Corner Block in a Sought-After Suburb
This prime corner allotment in the heart of Blair Athol is already approved for subdivision into five allotments, offering a rare chance to secure a flexible development site in a well-connected suburb.
Features that make this property special:
- 762sqm (approximate) prime corner allotment
- Vacant land
- Approved for subdivision into five allotments
- Torrens title
Positioned in a well-established and sought-after suburb, this property is within easy reach of everything Blair Athol has to offer. Local shopping, cafes, and essential services are all nearby, while several well-regarded public and private schools make it ideal for families. Public transport is convenient, with regular bus services connecting you to the Adelaide CBD. Parks, reserves, and community facilities add a leafy, welcoming feel to the area, making it an appealing choice for lifestyle or investment.
Whether you’re planning to build your dream home or invest, this property provides a blank canvas with endless possibilities.
Rendered images are for illustration purposes only, providing a glimpse of the potential this property presents.
All information contained herewith, including but not limited to the general property description, price and the address, is provided to Boffo Real Estate by third parties. We have obtained this information from sources we believe to be reliable; however, we have not verified and do not guarantee its accuracy. The information contained should not be relied upon and you should make your own enquiries and seek advice in respect of this property or any property on this website.
RLA 313174
Enquire about this property
