Prime Allotment Opportunity in the Growing Andrews Farm
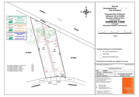
An exceptional opportunity to secure a 447sqm (approximate) allotment with a 9.2m (approximate) frontage, ideal for building your dream home, investing or exploring the approved division and development potential. Situated in a thriving, family-friendly neighbourhood, this block offers the perfect canvas to create your ideal lifestyle in the rapidly growing Andrews Farm community. Opportunities like this are rare - seize the chance to make it yours!
First home buyers enjoy a stamp duty exemption and eligible for a $15,000 First Home Owners Grant (subject to criteria).
Perfectly positioned close to a selection of quality schools, including Andrews Farm Community Preschool, St Columba College, Mark Oliphant College and Adelaide North Special School. Enjoy easy access to shopping and entertainment with Munno Para Shopping City and Elizabeth City Centre just a short drive away. Commuting is a breeze, with the CBD only 39 minutes (approximately) via the Northern Expressway.
Please Note: This Proposed Plan of Land Division is being offered subject to all Council and government consents and subject to the deposit of the plan of land division and at this time may or may not be approved and/or may be awaiting approval and/or conditions to be satisfied, therefore please refer to the agent and/or the vendor and/or council in relation to the status of this proposed land development and/or make your own investigations to satisfy your enquiries. This is a Land Sale, and the buyer will settle on Land only at settlement. For these and all other enquiries in relation to this proposed land offering and/or how it is being offered, then please refer to the agent and or vendor for further clarification.
All information contained herewith, including but not limited to the general property description, price and the address, is provided to Boffo Real Estate by third parties. We have obtained this information from sources we believe to be reliable; however, we have not verified and do not guarantee its accuracy. The information contained should not be relied upon and you should make your own enquiries and seek advice in respect of this property or any property on this website.
RLA 313174
Enquire about this property
